|
|
中共阅兵期间刘飞跃被拘留 获释回家电脑手机等未归还
|
荐 ★★★ |
|
|
|
中共阅兵期间刘飞跃被拘留 获释回家电脑手机等未归还 |
|
| 作者:民生编辑 文章来源:本站原创 更新时间:2015-09-07 14:00 |
| |
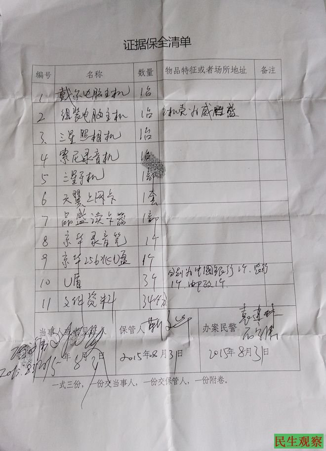
民生观察工作室2015/9/7消息:8月31日中共阅兵前夕,湖北省随州市曾都区公安分局治安大队及随州市公安局国保人员共十多人,于当天早上八点不到闯入本工作室负责人刘飞跃家中,先是对家中物品进行查抄,共扣押二台电脑、手机、相机等物品十多件(其中不少是家人所用),后宣布对刘进行行政拘留十天,拘留理由是接受记者采访、发布文章散布谣言,扰乱公共秩序。
其实一个月前曾都区公安分局治安大队和市区二级国保人员就对刘飞跃进行了传唤,重点针对的就是民生观察发布不久的《二0一五年上半年中国维稳指数评议与发布》,当时就向刘出示公告将进行处罚。
8月31日上午刘飞跃被带至随州市拘留所关押, 9月5日随州市拘留所所长约谈刘表示如愿意可请假提前出狱,遭刘拒绝。6日白天,随州市和曾都区市区二级国保、曾都区政法委一副书记、随州市拘留所所长先后三次约谈刘飞跃,要求其请假提前出狱,再次被刘拒绝。当晚,曾都区政法委副书记、公安局副局长和市国保人员再至随州市拘留所强迫刘出狱。在这些人员和拘留所人员强力协作下,刘最终无任何手续“被出狱”。剩余的三天“刑期”当局表示回家后“表现不好”将继续执行,同时还可能被带至某地“学习”几个月。
刘飞跃回家后被扣押的物品仍未归还这,曾都区公安分局治安大队称仍在“鉴定审查”中。在阅兵期间,随州除了刘飞跃外,南郊办事处上访人员虞德锁、青年路大桥讨薪农民工“组织者”董、陈二人均被拘留。


(责任编辑:民生编辑)
|
|
|
|
|
|
|
|
|
|