网站首页
民生简介
民生动态
新闻稿
维权经历
个人文集
民生观察在推特
民生观察维权动态
站内搜索:
检索标题
智能模糊
搜索
热门标签:
709
律师
暴力
酷刑
虐待
秋雨教会
您当前所在的位置:
网站主页
>
人权观察
> 正文
相 关 文 章
安徽石新红寻衅滋事罪开庭
武汉访民童斌在法院被打断
湖南访民陈碧香被维稳围困
辽宁杨秀梅在国家信访局被
刘红霞因帮助访民维权被殴
上海访民纪念陈小明被跟踪
湖北访民任春华被控制在家
新冠疫苗致残者维权遭驱赶
北京当局借疫情稳控在京维
湖北十堰访民王仁英在政府
最 新 热 门
快讯:湖北宜昌维权人士刘
北京警察:习近平管不了警
被以“污辱国家领导人”行
湖北访民余甘林被再安监控
张少杰家前仍有监控车辆 女
身份证信息暴露河北访民张
网友渺小(梁海怡)被以煽
苏州访民钱才珍找巡视组反
人权日喝农药被判刑的武汉
最高院批准 刘家财“煽动颠
随 机 推 荐
辽宁维权人士林明洁被从北
浙江钱塘潮数十位死者亲属
刘美廷夫妇因上访被非法拘
安徽省颍上县访民杨士侠被
江天勇律师至今被软禁在家
贵州民运人士燕明因不明原
黄月华被关黑监狱身体出现
上海维权人孙洪琴和母亲同
湖北维权人尹旭安信访局前
江苏访民黄兰珍被非法拘禁
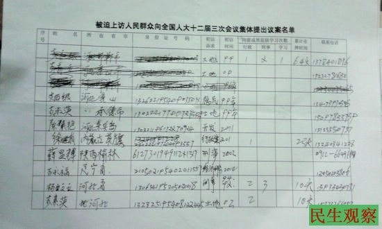
数百访民向人大提交议案要求实行民主监督
荐
★★★
数百访民向人大提交议案要求实行民主监督
作者:民生编辑 文章来源:本站原创 更新时间:2015-03-03 12:48
民生观察工作室2015-3-3消息:今天上午,400多访民联名到人大信访接待室递交向全国人大代表提出的议案申请书,获人大接收。
本工作室向发起这次议案申请的代表之一,齐齐哈尔的才亚光了解得知,人大接收了他们的议案材料,答复说要等法工委来拿时他们在上交,并指出,警察枉法这些不归他们管。
据了解,这次访民提出的议案申请中主要针对全国各省市地方政府职能部门渎职枉法,违宪制造冤假错案,群众被迫上访后,未经北京警方依法移交就捏造事实,对上访人处以行政拘留、刑事处罚、
非法拘禁等问题提出了几项要求:
1、认定对上访群众任何形式的关押都是违宪行为并依法予以纠正;
2、切实落实依法治国,解决冤假错案,实行人民监督;
3、公权力必须停止一切违宪行为,还权于民。
(责任编辑:民生编辑)
文章录入:民生编辑 责任编辑:民生编辑
上一篇:
快讯:江苏公民徐秦回北京上班被几十名国保围堵
下一篇:
一直呼吁为赵紫阳平反的北京维权人士李金平被警方带走
【
发表评论
】【
加入收藏
】【
告诉好友
】【
打印此文
】【
关闭窗口
】
网友评论:
(只显示最新10条。评论内容只代表网友观点,与本站立场无关!)
友情链接
·
开放
·
民主中国
·
独立中文笔会
·
争鸣动向
·
大纪元
·
中国人权双周刊
·
北京之春
·
中央社
·
自由新闻
·
台湾中央广播电台
·
权利运动
·
无国界记者
·
参与
·
BBC
·
法国国际广播电台
·
新世纪新闻网
·
德国之声
·
自由亚洲电台
·
美国之音
·
维权网
·
博讯
|
设为首页
|
加入收藏
|
联系民生
|
友情链接
|
关于民生
|
Copyright © 2002-2013 民生观察工作室 版权所有
网址:www.aaa.aetdhfjgk.cf